Skip to content

Acer palmatum 'Mischa' Weeping Red Japanese Maple

Sold out
Original price $40.00 - Original price $40.00
Original price $40.00
$40.00
$40.00 - $40.00
Current price $40.00




Acer palmatum dissectum

'Mischa'

'Mischa' Weeping Japanese Maple

Zones 5-9

Acer palmatum dissectum 'Mischa'

‘Mischa’ Weeping Japanese Maple
Zones: 5–9

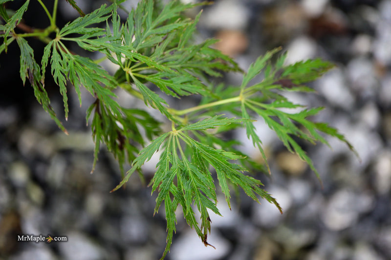
‘Mischa’ is a red weeping Japanese maple known for its finely dissected foliage and excellent color retention throughout the growing season. The delicate lace-like leaves emerge a vibrant red in spring and hold their rich tones well into summer, even in warmer climates.

When planted in partial shade, ‘Mischa’ shows a graceful balance of green and red hues, adding soft contrast and dimension to the garden. As autumn approaches, the tree transforms into a brilliant display of bright red, making it a standout focal point in any landscape.

This cultivar maintains a low, cascading habit typical of dissectum maples, creating a mounded form perfect for rock gardens, water features, and container plantings.

🍁 Key Features:

  • Red weeping form with finely dissected leaves

  • Excellent summer color retention

  • Bright red fall color

  • Cascading habit ideal for small gardens or containers

  • Thrives in Zones 5–9

Limited Quantities Available !! As we have over a thousand cultivars of Japanese maples, we often do not have many of each cultivar. We recommend that you buy the Japanese maples you want immediately as we often sell out of certain selections.